Многие дачники часто жалуются на то, что грецкий орех, с любовью и заботой выращиваемый на их участке, дает небольшой урожай из мелких плодов, которые, к тому же, быстро чернеют.
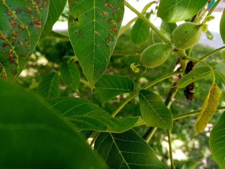
Причина плохого плодоношения зачастую скрывается в заболевании, известном под названием марсония или бактериальная пятнистость.
Этот недуг, в первую очередь, атакует плоды грецкого ореха, а также его листву и молоденькие побеги.

Если вы заметили небольшие коричневые пятна – это точно она, марсония. Начинают проявляться такие отметины, как правило, во второй половине лета.
Исправить ситуацию, по словам специалистов, помогают препараты на основе меди (только не пресловутая бордоская смесь, а что-нибудь поновее): "Оксихом", "Купроксатом", "Блу Бордо" и др.
Обработка должна проводиться в начале осени, а для закрепления результата дерево стоит подлечить перед наступлением настоящих холодов, когда оно лишилось уже почти всей листвы.
Для повторной обработки лучше подходит 3%-ный железный купорос и 1%-ный карбамид.
И еще кое-что: поскольку болезнь остается на зимовку в опавших листьях и падалице, их, разумеется, стоит убрать. Если вы не преодолеете свою лень и оставите листву и опавшие орехи на участке, по весне споры вновь поразят грецкий орех – на урожай, как понимаете, можно будет не рассчитывать.












